| NIVEAU | PIÈCE | SURFACE |
Prix 109 900 € *
Prix Nous contacter
Terrain
LHERM (31600)
Ref 310423482
Ref 5920
- NC
- NC pièce(s)
- NC chambre(s)
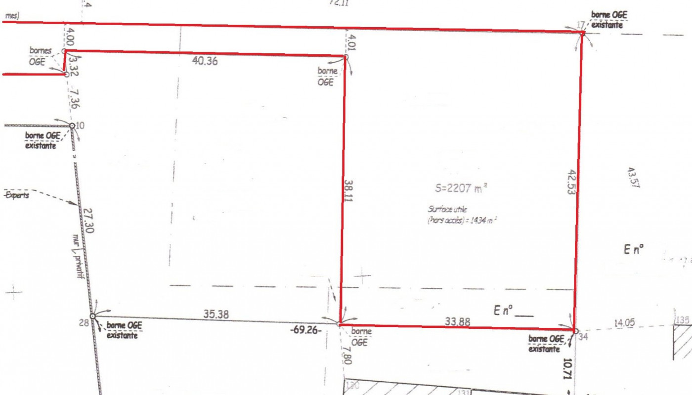
- 2207 m²
Présenté par votre Agence AU FORFAIT et votre conseiller BOSCHAT Sébastien - 06 79 42 61 29
LHERM Terrain de 2207 m² dans un environnement champetre au CALME. Emprise de 220 m² (non divisible) et non viabilisé. A saisir
( L'Affiche Immobilière 1er réseau au FORFAIT vous faisant économiser jusqu'à 80 % sur des frais d'agence classique) Honoraires charge vendeur - Votre mandataire indépendant BOSCHAT Sébastien RSAC N° 519 110 753
Les informations sur les risques auxquels ce bien est exposé sont disponibles sur le site Géorisques
Notre barème d'honoraires
* Honoraires charge vendeur.
Ce bien ne figure plus au catalogue car il a été vendu.
Diagnostics de performance énergétique
Voir le descriptif des pièces










